Featured
Last news
UN's Guterres says expects China to let rights chief visit Xinjiang
UN Secretary-General Antonio Guterres told leaders in Beijing he expects them to allow UN human rights chief Michelle Bachelet to make a "credible" visit to China including a stop in the troubled Xinjiang region, his spokesman said Saturday.
Cyclone Batsirai closes in on eastern Madagascar
As powerful Cyclone Batsirai closed in on eastern Madagascar on Saturday people sought shelter in more secure concrete buildings while others reinforced their roofs with large sandbags.
Rescuers enter tunnel to free Moroccan boy trapped in well
Morocco held its breath as rescue workers on Saturday entered a tunnel leading to a pocket where a five-year-old boy has been trapped for days after falling into a well, AFP correspondents said.
Covid vaccination compulsory in Austria, in EU first
It's official: Austrians over the age of 18 must be vaccinated against Covid-19 from Saturday or face the possibility of a heavy fine, an unprecedented measure in the European Union.
Increasing urgency over fate of Moroccan boy stuck days in well
Moroccan rescuers worked through the night into Saturday, the fifth day of an increasingly urgent and nerve-wracking effort to rescue Rayan, a five-year-old boy trapped underground in a well.
US panel recommends release of mentally ill Guantanamo detainee
American authorities have recommended releasing a mentally ill inmate from Guantanamo Bay and repatriating him to Saudi Arabia, according to a government document published Friday.
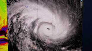
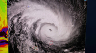
Cyclone Batsirai nears Madagascar, poses 'very serious threat'
Cyclone Batsirai was expected to reach eastern Madagascar on Saturday, posing a "very serious threat" to millions with powerful winds and torrential rains set to batter the large Indian Ocean island.
Death toll from laced cocaine in Argentina climbs to 24
The death toll among dozens of people who consumed cocaine likely laced with opioids in Buenos Aires rose to 24 on Friday, with 23 still in hospital, health officials said.
Compulsory vaccination rules come into force in Austria
It's official: From Saturday, Austrians over the age of 18 must be vaccinated against Covid-19 or face the possibility of a heavy fine, an unprecedented measure in the European Union.
Peru president sacks PM accused of domestic violence
Peruvian President Pedro Castillo dumped his prime minister Friday just three days after appointing him, amid outrage over revelations he was accused of domestic violence in 2016.
Colombian charged in Haiti president's killing pleads not guilty in US court
A former Colombian soldier charged in the United States with participating in the assassination of Haitian President Jovenel Moise pleaded not guilty Friday, his lawyer in Miami said.
Quito flooding toll raised to 27
The heaviest flooding to hit Ecuador in two decades claimed 27 lives this week and left 53 people injured, municipal officials said Friday.
Ottawa police chief vows crackdown on 'unlawful' protest
Ottawa's police chief vowed Friday to crack down on an "unlawful" occupation of the Canadian capital by protesters opposed to vaccine mandates, as the trucker convoy's clogging of the city enters a second week.
Iceland to end whaling as demand dwindles
Iceland, one of the only countries that still hunts whales commercially, said Friday it plans to end the practice from 2024 as demand for whale meat dwindles.
News Corp says hacked in potentially China-tied attack
Media giant News Corp said Friday it was hit by hackers who stole company data in an attack that the firm's cybersecurity consultant said could likely be traced back to China.
Death toll from laced cocaine in Argentina climbs to 23
The death toll among dozens of people who consumed cocaine likely laced with opioids in Buenos Aires rose to 23 on Friday, with 37 still in hospital, health officials said.
Toxic ash from DR Congo volcano falling on Goma
More than eight months after the Nyiragongo volcano erupted in the eastern Democratic Republic of Congo, toxic ash has started falling on nearby Goma, the city's Volcano Observatory said on Friday.
France prop Haouas given suspended jail sentence for theft
France prop Mohamed Haouas was convicted on Friday for his role in burglaries worth tens of thousands of euros at tobacco vendors in France in 2014.
Sailors stranded off France's La Reunion by Cyclone Batsirai saved
The crew of an oil tanker stranded near the coast of the Indian Ocean island of La Reunion after Cyclone Batsirai swept the region were rescued and brought ashore Friday, officials said.
UN demands Taliban provide info on two more missing women activists
The United Nations has demanded the Taliban provide information on two more women activists allegedly detained by the group this week -- bringing to four the number missing this year.
Activision Blizzard to bolster 'Call of Duty' line-up
Activision Blizzard on Thursday said it will beef-up its "Call of Duty" video game franchise after sagging interest by players led to a sales decline in the recently ended quarter.
Argentine police race to eradicate laced cocaine that killed 22
Argentine police on Thursday seized vast quantities of cocaine likely laced with opioids and made several arrests after 22 people died and dozens ended up in hospital poisoned in Buenos Aires.
Four top aides desert UK's embattled Johnson
British Prime Minister Boris Johnson suffered four staff defections on Thursday as pressure intensified on the embattled leader over lockdown parties and his loose-lipped style of politics.
Dead IS chief was Iraqi ex-officer nicknamed 'Destroyer'
The head of Islamic State group, whom the US declared dead in a special-forces raid Thursday, was nicknamed the "Destroyer" and presided over massacres of Yazidis before assuming the leadership.
Race on to find laced cocaine that killed 20 in Argentina
Investigators in Argentina raced Thursday to track down laced cocaine and remove it from circulation after 20 people died and dozens were sent to hospital poisoned.
European oil port terminals hit by cyberattack
Major oil terminals in some of Western Europe's biggest ports have fallen victim to a cyberattack at a time when energy prices are already soaring, sources confirmed on Thursday.
Rights group slams Lebanon for "flawed" murder probes
Human Rights Watch accused Lebanon on Thursday of "flawed" assassination probes and urged donors to review millions of dollars in aid to security forces in a country where crimes often go unpunished.
Meet two women who uncovered clergy sex abuse in Colombia
They were working for a Catholic bishop and had clear-cut orders from Pope Francis himself -- probe reports of pedophile priests in a city in Colombia.
Spyware used on key figure in Netanyahu trial: reports
Reports that police may have used spyware on a key witness in the trial of former premier Benjamin Netanyahu dominated Israeli headlines Thursday amid global scrutiny of Israeli-made surveillance technology.
20 dead in Argentina after taking toxic cocaine
At least 20 people died and 74 more were hospitalized in a Buenos Aires suburb after consuming cocaine cut with a toxic substance, possibly opioids, Argentine authorities said Wednesday.
Kenya under fire over calls to 'weaken' forest protections
In his 15 years defending one of Nairobi's last green spaces, Simon Nganga has seen off brazen attempts to seize what's left of the lush forest bordered by highways and housing estates.
Nintendo raises profit forecast but cuts Switch sales outlook
Nintendo raised its full-year net profit forecast Thursday, citing strong performances by recent game releases, but it again cut its sales target for the Switch owing to global supply chain problems.